酒蔵も一旦終わり、田植えイベントも無事終わり、少し長い休暇もいただき今日から仕事再開です。
どうもッ! 今井です。
休みの間は大好きな洗車をしたり、果樹園に行ったり、アチェートの重さん加畑くんと水耕栽培をされている農家さんを訪ねたりして、ボーっとする暇もなく時間が過ぎました。
昨日、飯尾醸造のインスタでアップしましたけど、その続きを今回は投稿させていただきます!
何故、トマトを栽培する事になったのか?
あのお方のひと言…ミニトマトを1年分作って! と、アチェート 重シェフの指令が…下されました。
1年分⁈ 🍅🍅🍅🍅🍅🍅🍅🍅🍅🍅 それって家庭菜園のレベルじゃダメやん。ずっと採れるまで収穫しろッ!って事や…。
色も指定のイエロー!
考えるのは後回しで早速行動開始!
会社の果樹園には3畝場所があり、とりあえず2畝を草を取り耕すことに…
ずっと収穫となると?雑草問題になるわけで、ここはマルチを使って栽培することに決定!
あとは定植するのみ!
雨対策を絶対しないといけないので屋根も作らないと…
とりあえず24本! 定植完成!!
そのまま定植したものや、根洗して定植、根切りして定植と色々やってみました。 結果どうなるかが楽しみなところです。
最悪な事になりませんように…
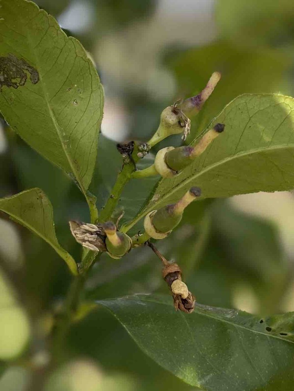
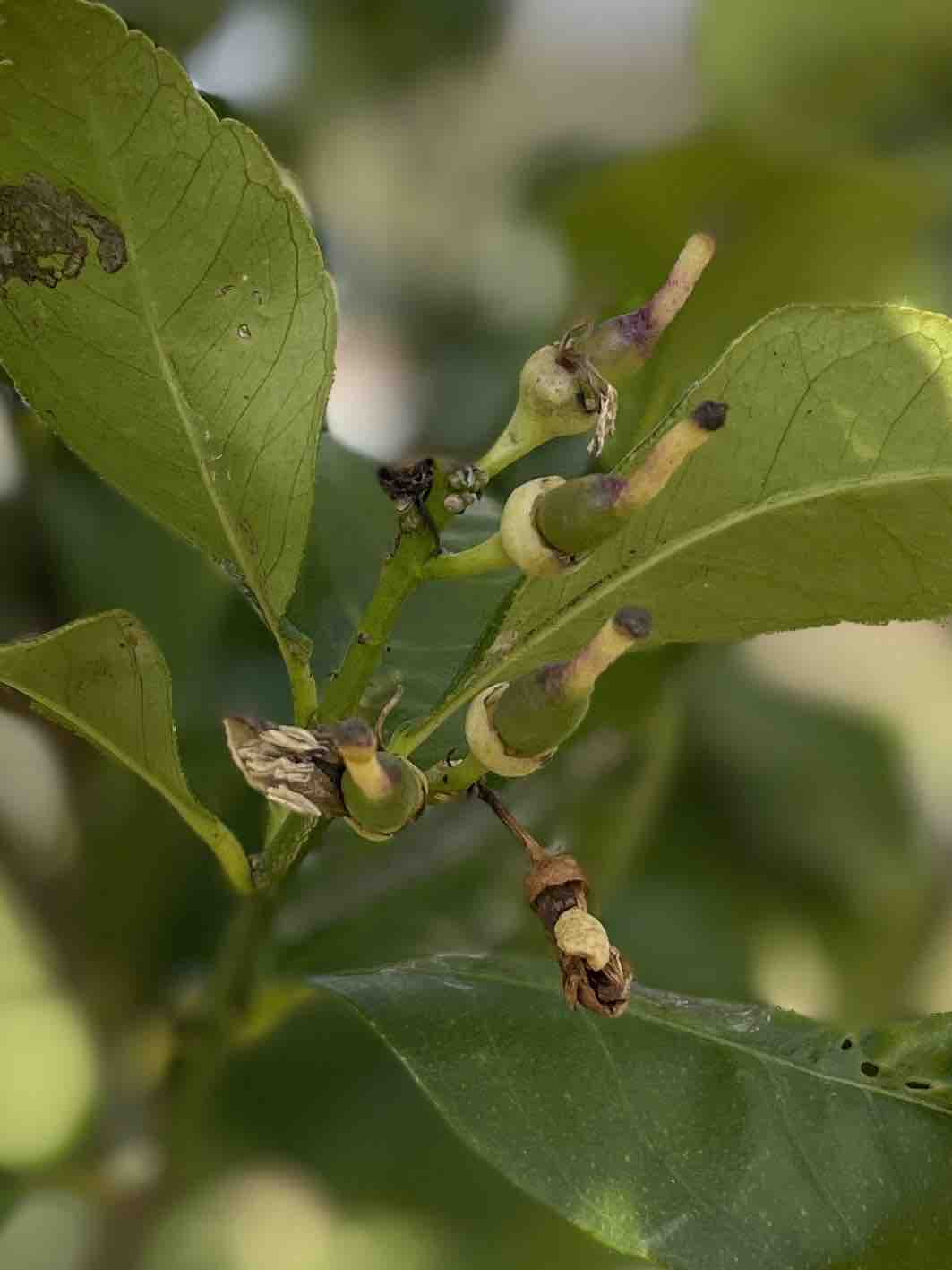
あと、レモン🍋の緊急事態も峠を越しました!
雪で折れた幹も手術して何とか修復。
少し収穫が遅かった気がしますけど。
この春から大好きなアスパラガスが沢山収穫できる状態になりました。ここまで長〜い道のりでしたけど、これからは毎年立派なアスパラガスが収穫できると思います(お世話次第ですけどね)。
トマト栽培…順調なら、また報告いたします。
雨対策…大変やなぁ。
今井













コメント